
Nachträglich eine Baubewilligung einholen – ist das möglich?
Ein praktischer Leitfaden zur nachträglichen Einreichung, Prüfung und Genehmigung Ihrer Baupläne
Wenn Sie gebaut haben, ohne die erforderliche Bewilligung einzuholen, oder Änderungen an einem bestehenden Gebäude vorgenommen haben, sind Sie nicht allein. Viele Menschen suchen online nach Begriffen wie „nachträgliche Baubewilligung“, „Bauantrag nachträglich stellen“ oder „Baugesuch nach Bauausführung“.
Es ist stets ratsam, das Baugesuch vor Baubeginn einzureichen. Dies trägt zur Rechtssicherheit bei und hilft, mögliche Probleme vor, während oder nach der Bauphase zu vermeiden. Bauen ohne die erforderliche Bewilligung kann schwerwiegende Konsequenzen haben, wie Bussgelder, Baustopps oder sogar die Anordnung, das Bauwerk rückzubauen. Zudem wird es deutlich schwieriger, später eine offizielle Bestätigung oder Rechtssicherheit für das Bauvorhaben zu erhalten.
Zu einem Baugesuch gehört immer ein aktuell erstellter Katasterplan (Situationsplan für die Baueingabe), der den Stand der amtlichen Vermessung korrekt abbildet. In diesem Beitrag wird ausschliesslich beschrieben, wie Sie diesen Plan korrekt erarbeiten oder beim Nachführungsgeometer beziehen können.
Das vollständige Verfahren zur Einholung einer Baubewilligung – inklusive weiterer Unterlagen, Abklärungen oder behördlicher Entscheide – wird hier nicht im Detail behandelt.
1. Erstellung auf Basis digitaler Daten:
Sie können die benötigten Vermessungsgrundlagen z. B. über den kantonalen GIS-Browser kostenlos herunterladen oder die digitalen Daten der amtlichen Vermessung direkt beim entsprechenden Nachführungsgeometer bestellen. Bei der Bestellung über den Geometer erhalten Sie einen vollständigen Datensatz, der alle notwendigen Inhalte enthält. Wenn Sie die Daten hingegen über den GIS-Browser beziehen, müssen die amtliche Vermessung und die öffentlich-rechtlichen Eigentumsbeschränkungen als separate Datensätze heruntergeladen und anschliessend selbst zu einem vollständigen Datensatz zusammengeführt werden. Unabhängig von der Bezugsquelle eignen sich digitale Datensätze besonders gut für die Einzeichnung grösseren und aufwändigeren Bauprojekten.
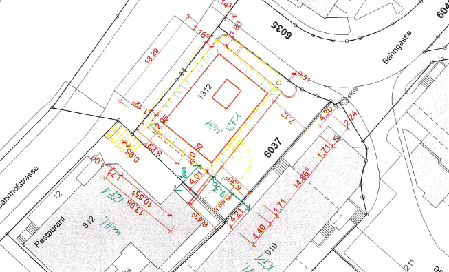
Achten Sie bei der Darstellung auf dem Situationsplan für die Baueingabe auf folgendes:
- Rot: Neue Bauteile oder neue Nutzungen (z. bei Um- oder Anbauten)
- Gelb: Abzubrechende Bauteile oder alte Nutzungen
- Schwarz: Bestehende, unveränderte Bauteile
- Eine Legende hilft Ihnen dabei, die AV-Daten korrekt darzustellen
Sobald Sie ihr Baueingabeplan erstellt haben, senden Sie diesen per E-Mail an die Nachführungsstelle. Die OLIG ist Nachführungsgeometer der Gemeinden Hombrechtikon, Männedorf, Rüschlikon und Uetikon am See.
1.1. Prüfung des Plans
Unsere Fachleute prüfen den eingereichten Situations- bzw. Baueingabeplan auf Übereinstimmung mit der amtlichen Vermessung. Dabei wird insbesondere auf folgende Punkte geachtet:
- Grundstücksgrenzen
- Fix- und Grenzpunkte
- Situation
- Öffentlich-rechtliche Eigentumsbeschränkungen
- Korrekte Darstellung von Strassen, Wäldern, Gewässern und Gebäuden
- Richtiger Massstab
1.2. Verbesserungen und Rückmeldung
Falls Unstimmigkeiten oder fehlende Informationen festgestellt werden, erhalten Sie eine Rückmeldung mit der Bitte, entsprechende Korrekturen vorzunehmen.
1.3. Erneute Prüfung
Nach Einreichen der überarbeiteten Version erfolgt eine erneute Prüfung, um sicherzustellen, dass alle Mängel behoben wurden.
1.4. Finale Bestätigung und Stempel
Sobald der Plan alle Anforderungen erfüllt, erteilt der Nachführungsgeometer die Freigabe. Sie drucken die Pläne aus und stellen diese entweder per Post zu oder erscheinen persönlich mit den Plänen im Büro. Dort werden sie mit den erforderlichen Stempeln versehen:
- Datum
- Gemeinde
- ÖREB-Hinweis
- Übereinstimmung mit der amtlichen Vermessung
Zusätzlich wird der Plan von einer berechtigten Fachperson bestätigt.
2. Erstellung auf Basis gedruckter Katasterpläne:
Falls Sie Ihre Baueingabe lieber manuell einzeichnen möchten, benötigen Sie den bereits bestätigten kommunalen Katasterplan in Papierform in genügender Anzahl. Diese Pläne können bei der zuständigen Nachführungsstelle bestellt werden. Sie haben die Möglichkeit, die Pläne entweder per Post zu erhalten oder direkt im Büro zu beziehen. Diese Variante eignet sich besonders für kleinere Bauvorhaben.
3. Was passiert nach der Bestätigung?
Sobald Sie im Besitz bestätigter Pläne sind, sind diese offiziell gültig und können als Teil Ihrer Baueingabe bei der Gemeinde eingereicht werden. Damit haben Sie den ersten wichtigen Schritt in Richtung Baubewilligung erfolgreich vollendet.
Weitere Informationen zur Amtlichen Vermessungen finden Sie hier.